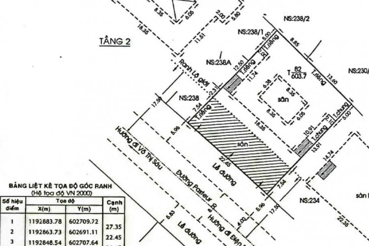
Bán nhà 236 Pasteur - DT 22x28m - Hầm + 3 tầng - Giá 450 tỷ!

Bán nhà 236 Pasteur - DT 22x28m - Hầm + 3 tầng - Giá 450 tỷ!

Bán nhà 236 Pasteur - DT 22x28m - Hầm + 3 tầng - Giá 450 tỷ!

Tìm Nhà Cùng Nam

Tìm Nhà Cùng Nam
Tìm Nhà Cùng Nam

Tìm kiếm nhà đất

Bán nhà 236 Pasteur - DT 22x28m - Hầm + 3 tầng - Giá 450 tỷ!

 Đăng ngày : 29/01/2026

Khu vực : Đường Pasteur ,6 , Quận 3, Hồ Chí Minh

Loại nhà : Nhà mặt tiền/ Nhà mặt phố

Hướng nhà :

Giá : 450 tỷ Diện tích : 434,5 m2

Thông tin chi tiết

Nhà phố diện tích lớn ngay trục Pasteur Quận 3 – ngang hiếm, phù hợp làm trụ sở, showroom, building cho thuê

Bán nhà 236 Pasteur, Phường 6, Quận 3

  • Diện tích: 22m x 28m, lộ giới 5m

    • Diện tích công nhận: 434,5m²

    • Diện tích sử dụng thực tế: ~607m²

  • Kết cấu: 1 hầm + 3 lầu, mái che thang

  • Hiện trạng: Nhà trống, đang chào thuê 20.000 USD/tháng

  • Vị trí: Mặt tiền Pasteur – tuyến đường thương hiệu, kết nối nhanh Quận 1 – Quận 10 – Phú Nhuận, khu vực tập trung văn phòng, ngân hàng, showroom, thẩm mỹ viện

  • Pháp lý: Sổ hồng cá nhân, hoàn công đầy đủ

  • Loại BĐS: Nhà phố

  • Giá bán: 450 tỷ (thương lượng)

Nhà mặt tiền trung tâm Quận 3, diện tích lớn hiếm có, phù hợp khai thác kinh doanh đa ngành hoặc xây dựng tòa nhà văn phòng – căn cứ giá trị đất và tiềm năng khai thác lâu dài.

Thông tin chuẩn xác - Làm việc chính chủ - Không mất thời gian của Quý khách!
-------------------------------------------
 Liên hệ: 039.76.39.868 gặp Nam.
* Tìm nhà cùng Nam - Giúp bạn an tâm mua bán bất động sản.
* Cam kết: Không đăng giá ảo - nhà ảo - ảnh ảo!
* Chuyên BĐS trung tâm TP. HCM với hơn 100.000 sản phẩm giá tốt.
* Tư vấn hỗ trợ pháp lý miễn phí.
https://www.facebook.com/TimNhaCungNam868
https://www.tiktok.com/@timnhacungnam868
https://timnhacungnam.vn/

Bất động sản dành cho bạn
Bán đất lớn 169 Trần Não - DT 41x48 = 1450m2 - Vị trí đẹp - Giá 900 tỷ! Mới đăng
Vip
Bán đất lớn 169 Trần Não - DT 41x48 = 1450m2 - Vị trí đẹp - Giá 900 tỷ!

Thành phố Thủ Đức, Hồ Chí Minh

Diện tích : 1450 m2

900 tỷXem chi tiết
Bán biệt thự 1-3 Giang Văn Minh - DT 25x20m - 3 tầng sân vườn - HĐT 5000USD/thg - Giá 180 tỷ! Mới đăng
Vip
Bán nhà 407 Nguyễn Trọng Tuyển - DT 5x16m - 3 tầng - Giá 21 tỷ!
Vip
Bán nhà 407 Nguyễn Trọng Tuyển - DT 5x16m - 3 tầng - Giá 21 tỷ!

Tân Bình, Hồ Chí Minh

Diện tích : 62,6 m2

Bán nhà 1G Lạc Long Quân - DT 5x16m - 3 tấm - Giá 11,2 tỷ!
Vip
Bán nhà 1G Lạc Long Quân - DT 5x16m - 3 tấm - Giá 11,2 tỷ!

Quận 11, Hồ Chí Minh

Diện tích : 62 m2

11.2 tỷXem chi tiết
Bán nhà 1/15 Phạm Cự Lượng - DT 4,5x10,5m - Một lầu - Giá 10,5 tỷ!
Vip
Bán biệt thự góc 107/13 Hoàng Hoa Thám - DT 10x12m - 3 tấm - Giá 18,5 tỷ!
Vip
Bán nhà 19/69/10 Trần Bình Trọng - DT 4x12m - 4 tấm - Giá 8,886 tỷ!
Vip
Bán nhà 19/69/10 Trần Bình Trọng - DT 4x12m - 4 tấm - Giá 8,886 tỷ!

Bình Thạnh, Hồ Chí Minh

Diện tích : 51,2 m2

8.886 tỷXem chi tiết