Bán nhà 672 Phạm Văn Bạch - DT 7,6x12m - Cấp 4 - Giá 20,5 tỷ!

Bán nhà 672 Phạm Văn Bạch - DT 7,6x12m - Cấp 4 - Giá 20,5 tỷ!

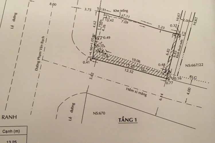
Bán nhà 672 Phạm Văn Bạch - DT 7,6x12m - Cấp 4 - Giá 20,5 tỷ!

Tìm Nhà Cùng Nam

Tìm Nhà Cùng Nam
Tìm Nhà Cùng Nam

Tìm kiếm nhà đất

Bán nhà 672 Phạm Văn Bạch - DT 7,6x12m - Cấp 4 - Giá 20,5 tỷ!

 Đăng ngày : 17/11/2025

Khu vực : Đường Phạm Văn Bạch ,12 , Gò Vấp, Hồ Chí Minh

Loại nhà : Nhà mặt tiền/ Nhà mặt phố

Hướng nhà :

Giá : 20.5 tỷ Diện tích : 84,1 m2

Thông tin chi tiết

CHÍNH CHỦ cần bán nhà mặt phố căn góc 2 mặt tiền ngay ngã 3. Đường thông sang đường Tân Sơn.
Địa chỉ: 672 Phạm Văn Bạch, Phường 12, Quận Gò Vấp
- Diện tích:  84,1m². Mặt tiền 7,63m. Mặt hẻm dài 12,4m.
Có sổ đỏ chính chủ, không vay mượn hay thế chấp ngân hàng.
- Nhà chính chủ bán - sổ đỏ. Nhà cấp 4, 1 tầng, 2 căn (nhà gas và tiệm bánh).
- Đường chính rộng 8m, đường hẻm rộng 5,62m.
- Vỉa hè rộng 3,75m.
- Hướng Tây Nam.
- Hiện đang cho thuê 2 cửa hàng giá 32tr/1 tháng.
- Vị trí nhà cách chợ vài bước chân, gần trường học. Khu phố đông đúc sầm uất, kinh doanh tốt. Phù hợp xây toà văn phòng, khách sạn, công ty, ngân hàng. Có đường thoát hiểm riêng phía sau nhà, có thể mở 3 cửa 3 phía.
- Giá bán: 20,5 tỷ (TL).

Thông tin chuẩn xác - Làm việc chính chủ - Không mất thời gian của Quý khách!
-------------------------------------------
Liên hệ: 039.76.39.868 gặp Nam.
* Tìm nhà cùng Nam - Giúp bạn an tâm mua bán bất động sản.
* Cam kết: Không đăng giá ảo - nhà ảo - ảnh ảo!
* Chuyên BĐS trung tâm TP. HCM với hơn 100.000 sản phẩm giá tốt.
* Tư vấn hỗ trợ pháp lý miễn phí.
https://www.facebook.com/TimNhaCungNam868
https://www.tiktok.com/@timnhacungnam868
https://timnhacungnam.vn/

Bất động sản dành cho bạn
Bán nhà LL4A Tam Đảo - DT 4,4x15m - 6 tầng - Giá 18 tỷ!
Vip
Bán nhà LL4A Tam Đảo - DT 4,4x15m - 6 tầng - Giá 18 tỷ!

Quận 10, Hồ Chí Minh

Diện tích : 62,4 m2

Bán nhà 62 Trần Văn Danh - DT 4,2x20m - 4 tấm - Giá 20 tỷ!
Vip
Bán nhà 62 Trần Văn Danh - DT 4,2x20m - 4 tấm - Giá 20 tỷ!

Tân Bình, Hồ Chí Minh

Diện tích : 95 m2

Bán nhà 320 Lý Thái Tổ - DT 3,2x11m - Một lầu - Giá 13 tỷ!
Vip
Bán nhà 320 Lý Thái Tổ - DT 3,2x11m - Một lầu - Giá 13 tỷ!

Quận 3, Hồ Chí Minh

Diện tích : 33,6 m2

Bán nhà 115-117 Ba Vân - DT 10x8m - 4 tấm - Giá 16,5 tỷ!
Vip
Bán nhà 115-117 Ba Vân - DT 10x8m - 4 tấm - Giá 16,5 tỷ!

Tân Bình, Hồ Chí Minh

Diện tích : 70 m2

16.5 tỷXem chi tiết
Bán nhà góc A11 Nguyễn Gia Trí - DT 9,2x20m - Giá 30,9 tỷ!
Vip
Bán nhà góc A11 Nguyễn Gia Trí - DT 9,2x20m - Giá 30,9 tỷ!

Bình Thạnh, Hồ Chí Minh

Diện tích : 184 m2

30.9 tỷXem chi tiết
Bán nhà 126 Hồ Văn Huê - DT 7x13m - 3 tầng - Giá 22 tỷ!
Hot
Bán nhà 126 Hồ Văn Huê - DT 7x13m - 3 tầng - Giá 22 tỷ!

Phú Nhuận, Hồ Chí Minh

Diện tích : 91 m2

Bán nhà 182/1/1 Đề Thám - DT 4x10m - 4 tầng - Giá 13 tỷ!
Vip
Bán nhà 182/1/1 Đề Thám - DT 4x10m - 4 tầng - Giá 13 tỷ!

Quận 1, Hồ Chí Minh

Diện tích : 41,4 m2

Bán nhà 48/9H Hồ Biểu Chánh - DT 4x14m - 4 tấm thang máy - Giá 15,8 tỷ!
Vip